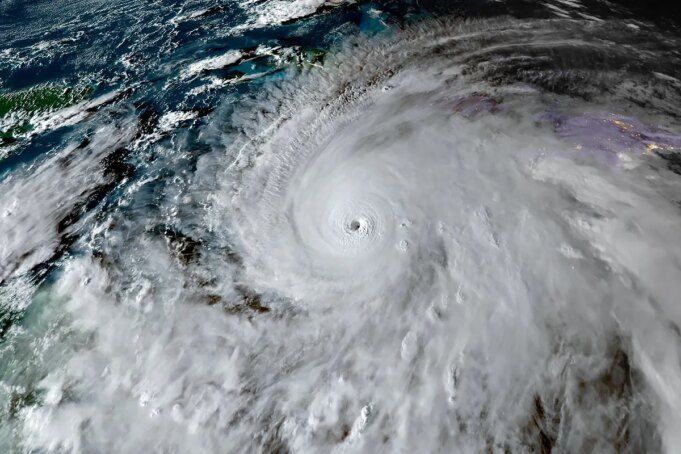
Gli effetti dell’uragano Melissa di categoria 5 stanno già colpendo la Giamaica con venti devastanti e forti piogge e si prevede che si abbatteranno su quest’isola “entro le prossime ore”, mantenendo un’intensità estrema, ha riferito martedì il National Hurricane Center (NHC) degli Stati Uniti. Da leggere














